Rare Trenton Building Lot | Quiet Dead-End Street, Mature Trees,

Trenton, ON K8V 5P8, Trenton 19 hours ago
Studio Bedrooms
Land for Sale Type
Description
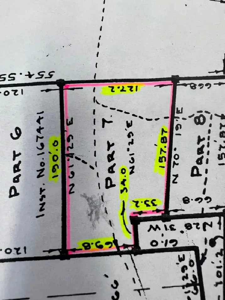
Tucked away on a quiet dead-end street in Trenton, this approximately half-acre lot offers the perfect setting to build your dream home. Backing onto conservation land, the property is surrounded by mature trees and offers exceptional privacy, with no rear or south-side neighbours and the feel of nature right outside your door.



All the essentials are already in place — municipal water, hydro, and natural gas are at the lot, making this a truly build-ready opportunity.



Enjoy the best of both worlds: a peaceful, natural setting just minutes from Highway 401, downtown Trenton, and all amenities.



Highlights:



- ~0.4 acres with ~70 ft frontage

- Mature trees

- Municipal water, hydro & natural gas at lot

- Quiet dead-end street

- Adjacent to conservation land

- Minutes to Hwy 401, Trenton & Belleville





PLEASE NOTE: The northeast corner is adjacent to a zoned wetland, and depending on how close the structure will encroach, an Environmental Impact Assessment may be required. Preliminary conservation authority (LTC) work has been completed for any required permitting, and a Builder Due Diligence Package has been completed and is available with detailed information.



This is a private sale. Please email [email protected] for more information and to discuss further!
Read more
Market Price Insight
Based on 1,355 rental transactions in Trenton
$0.66
Avg $/sqft
$1,752
Avg Monthly
11311% above avg
This Listing
Source: Market data 2019–2025 · Trenton
Location

Approximate location shown for privacy.